有限会社TST企画
TOP
買いたい方
売りたい方
借りたい方
貸したい方
空き家活用
出火や放火等のリスク
物件価値が下がる
維持管理費用や税金
空き家管理
空き家売買
物件情報
建物(中古)
分譲地
売土地
賃貸物件
事業案内
会社概要
個人情報保護方針
Bto情報
分譲地
売土地
建物(新築・中古)
管理者専用
リンク
お問い合わせ
物件情報
建物(中古)
分譲地
売土地
賃貸物件
お気軽にご相談ください
☎
092-408-9255
LINEでのご依頼は
こちらから
お問い合わせ
不動産以外でも
お任せください!
車・バイクのドライブレコーダー、ETCの取り付けや草刈り草取り何でもご相談ください。
不動産に関するお悩み
何でもお聞かせください!
不動産管理や相続など、何でもお気軽にご相談ください。専門のスタッフがサポートさせていただきます。
物件情報一覧(売買物件・分譲地)
【福岡県】
●飯塚市網分
売土地
飯塚市網分(6号地)
販売価格
897万円
所在地
飯塚市綱分551
交通
後藤寺線筑前庄内駅 徒歩33分
土地面積
公簿231.47㎡ / 約70.02坪
地目
宅地
都市計画
市街化区域
用途地域
無指定
建・容率
60・200%
その他
☆上水道/引き込み
☆下水/浄化槽
詳しくはこちら
●朝倉市頓田
売土地
朝倉市頓田(6号地)
販売価格
795万円
所在地
朝倉市頓田字柿添277-1他10筆
交通
西日本鉄道甘木線甘木駅 徒歩24分
土地面積
公簿193.37㎡ / 約58.49坪
地目
宅地
都市計画
非線引き
用途地域
無指定
建・容率
40・60%
その他
☆建築条件なし
詳しくはこちら
●朝倉市堤
売土地
朝倉市堤(1号地)
販売価格
810万円
所在地
朝倉市堤955-22西側
交通
西日本鉄道甘木線甘木駅 徒歩23分
甘木鉄道甘木駅 徒歩23分
土地面積
実測216.24㎡ / 約65.41坪
地目
宅地
都市計画
非線引き
用途地域
無指定
建・容率
60・200%
その他
☆建築条件なし
☆下水道受益者負担金200,000円
☆上水道加入金77,000円(20mm)
詳しくはこちら
●久留米市北野町
売土地
久留米市北野町塚島(11
号地)
販売価格
69
0万円
所在地
久留米市北野町塚島
交通
西日本鉄道甘木線大城駅 徒歩14分
土地面積
実測175.21㎡ / 約53.02坪
地目
宅地
都市計画
非線引区域
用途地域
第一種低層住居専用地域
建・容率
50・80%
その他
☆建築条件なし
詳しくはこちら
●久留米市宮ノ陣大社
売土地
久留米市宮ノ陣町大社(2号地)
販売価格
860万円
所在地
久留米市宮ノ陣町大杜
交通
西日本鉄道甘木線学校前駅
徒歩17分
土地面積
実測216.35㎡ / 約65.44坪
地目
宅地
都市計画
市街化調整区域
用途地域
無指定
建・容率
60・200%
その他
☆建築条件なし
詳しくはこちら
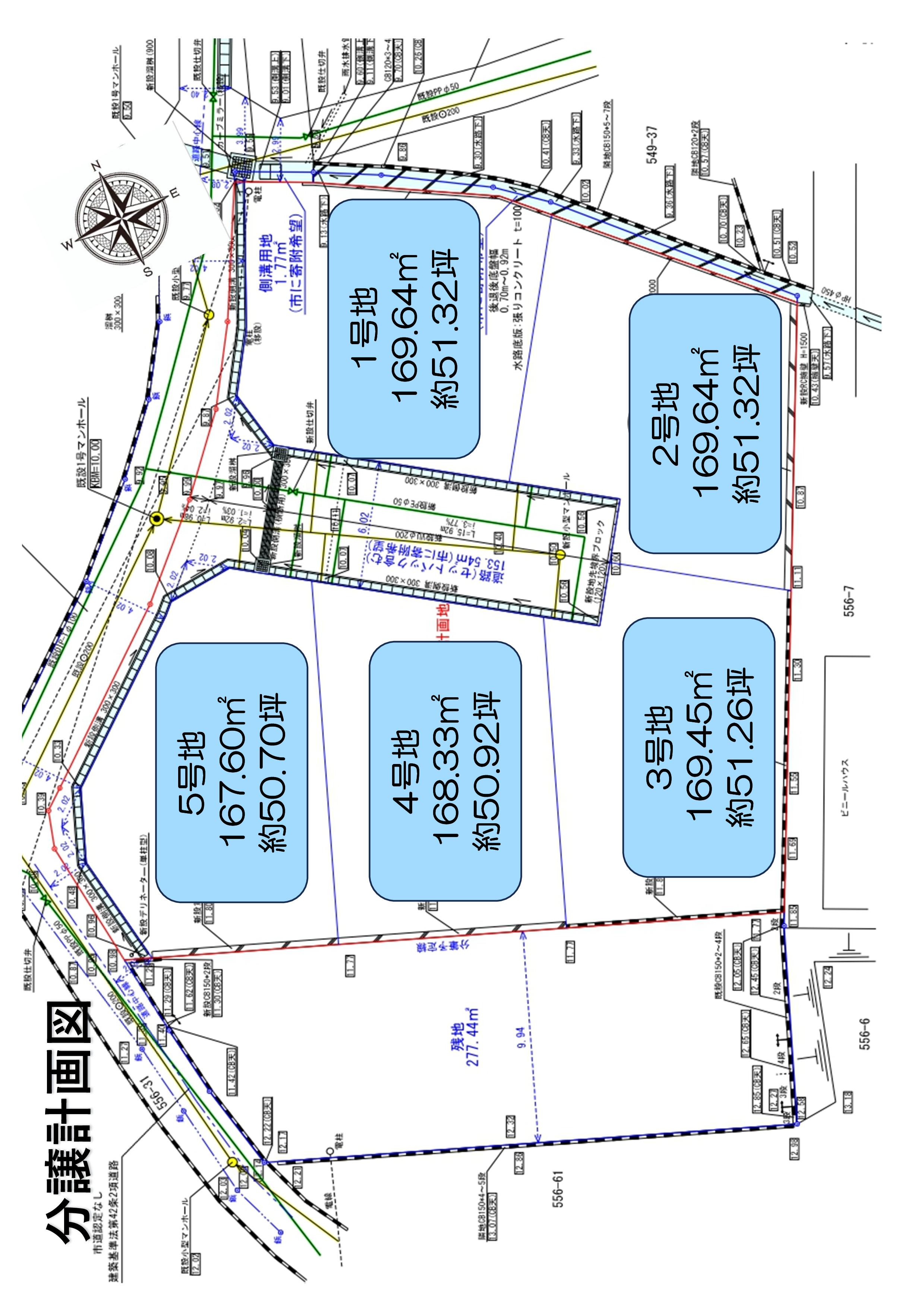
●久留米市荒木町荒木
売土地
久留米市荒木町荒木(3号地)
販売価格
890万円
所在地
久留米市荒木町荒木
交通
鹿児島本線荒木駅 徒歩20分
土地面積
実測169.45㎡ / 約51.25坪
地目
宅地
都市計画
市街化区域
用途地域
第一種低層住居専用地域
建・容率
40・80%
その他
☆建築条件なし
詳しくはこちら
●久留米市荒木町下荒木
売土地
久留米市荒木町下荒木(1号地)
販売価格
910万円
所在地
久留米市荒木町下荒木
交通
鹿児島本線荒木駅 徒歩13分
土地面積
実測208.67㎡ / 約63.12坪
地目
宅地
都市計画
市街化調整区域
用途地域
無指定
建・容率
60・100%
その他
☆建築条件なし
詳しくはこちら
●久留米市上津町
売土地
久留米市上津町(2号地)
販売価格
105
0万円
所在地
久留米市上津町2205-4
交通
二軒茶屋三ツ角バス停 徒歩16分
土地面積
実測237.91㎡ / 約71.96坪
地目
宅地
都市計画
市街化調整区域
用途地域
無指定
建・容率
60・100%
その他
☆建築条件なし
詳しくはこちら
●みやま市瀬高町
売土地
みやま市瀬高町山門(14
号地)
販売価格
595万円
所在地
みやま市瀬高町山門
交通
鹿児島本線瀬高駅 徒歩14分
土地面積
公簿216.16㎡ / 約65.39坪
地目
宅地
都市計画
非線引区域
用途地域
無指定
建・容率
70・200%
その他
☆上水道/上水道加入金/33,000円
詳しくはこちら
【佐賀県】
●三養基郡上峰町大字江迎
売土地
上峰町大字江迎(2号地)
販売価格
685万円
所在地
三養基郡上峰町大字江迎1152-2
の北側
交通
中津隈バス停 徒歩14分
土地面積
実測222㎡ / 約67.15坪
地目
宅地
都市計画
非線引区域
用途地域
無指定
建・容率
60・100%
その他
☆建築条件なし
☆上水道加入金:8万8000円
詳しくはこちら
●三養基郡みやき町大字東尾
売土地
みやき町大字東尾(E号地)
販売価格
647万円
所在地
三養基郡みやき町大字東尾3075
の西側
交通
東尾バス停 徒歩13分
土地面積
公簿203.72㎡ / 約61.62坪
地目
宅地
都市計画
非線引区域
用途地域
無指定
建・容率
60・200%
その他
☆建築条件なし
☆上水道加入金あり
詳しくはこちら
●神崎郡吉野ヶ里町田手
売土地
神崎郡吉野ヶ里田手(1号地)
販売価格
897万円
所在地
神埼郡吉野ヶ里町田手1388
交通
長崎本線吉野ケ里公園駅 徒歩19分
土地面積
実測210.57㎡ / 約63.69坪
地目
宅地
都市計画
非線引区域
用途地域
無指定
建・容率
60・200%
その他
☆建築条件なし
☆下水道受益者負担金:18万円
☆上水道加入金:8万8000円
詳しくはこちら